沖縄天然水族館のポータイルサイトです。 海と人との共生のために生まれた新しいマリンアドベンチャーをご紹介します。
チョウチョウオの仲間は小型で30cm程度にしかなりません。ほとんどの個体がサンゴ礁や岩礁での生活に適応し、サンゴの間を移動できるように体は扁平(側扁体形)になりました。口が尖っていて、おちょぼ口のようになっています。
様々な模様のものが多く中には似たような模様のものまでいます。鮮やかに彩られた体の模様は、同種個体間でのコミュニケーションに役立ってていると言われています。また多くの種では体の後方に目玉模様(アイスポット)を備えて捕食者を混乱させています。本当の目は黒い帯状の模様に隠れていることが多いです。
チョウチョウオはカラフルな模様が特徴的な魚です。イシガキ島では色とりどりのチョウチョウオ達が、海を優雅に泳いでいる姿がたくさん見ることが出来ます。石垣島では一年中、蝶(昆虫)が飛んでいますが、海では皆さんをチョウチョウオが待っています!
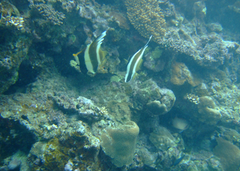
●特徴
チョウチョウオの仲間は小型で30cm程度にしかなりません。ほとんどの個体がサンゴ礁や岩礁での生活に適応し、サンゴの間を移動できるように体は扁平(側扁体形)になりました。口が尖っていて、おちょぼ口のようになっています。
●生態
様々な模様のものが多く中には似たような模様のものまでいます。鮮やかに彩られた体の模様は、同種個体間でのコミュニケーションに役立ってていると言われています。また多くの種では体の後方に目玉模様(アイスポット)を備えて捕食者を混乱させています。本当の目は黒い帯状の模様に隠れていることが多いです。
●その他
チョウチョウオはカラフルな模様が特徴的な魚です。イシガキ島では色とりどりのチョウチョウオ達が、海を優雅に泳いでいる姿がたくさん見ることが出来ます。石垣島では一年中、蝶(昆虫)が飛んでいますが、海では皆さんをチョウチョウオが待っています!